HR EN
6. Koprivnica-Križevci County

Population: 99.229
GDP per capita: 16.913,00 EUR
Unemployment rate: 5,00%
Average Gross Salary: 1.622,00 EUR
Average Net Salary: 1.201,00 EUR

Distances from traffic infrastructure

Road: 0 km
Highway: A1, 83 km
Railway siding: 25 km
Sea port: Rijeka, 281 km
Airport: Zagreb International Airport , 113 km

Companies in the zone

Beton design Ltd.
Activity: Production of concrete products
Country of origin: Republic of Croatia
Company website: https://www.betondesign.hr/

LDC AGRO Ltd.
Activity: Storage
Country of origin: Republic of Croatia
Company website:

Zone A-north, Đurđevac Download as PDF

General information

Location (city/municipality) Grad Đurđevac
Zone type Business zone
Area of the zone (m²) 219.022
Available land (m²) 97.950
Land use Manufacturing and services
Building coverage ratio 0,6
Floor area ratio 3,0
Allowed construction height (m) 12
Allowed noise level (at the border of the site, dB) 80 dB
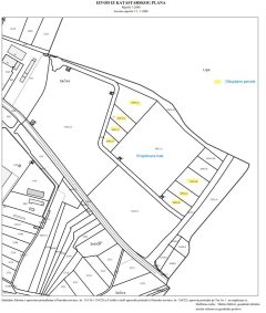
Diagram of the zone
Scanned copy of cadastral plan extract with highlighted available lots

Utility infrastructure

Gas
Availability Yes
Electricity
Availability Yes
Water
Availability Yes
Sewage
Availability Yes
Water purifier Yes

Communal information

Communal contribution fee
Communal contribution for manufacturing (EUR/m³) 4
Communal contribution for office spaces (EUR/m³) 4
Communal contribution for services (EUR/m³) 4
Redemption from paying communal contribution fee Yes, 100%
Communal contribution tax
Amount of communal contribution tax (EUR/m²) 0,20-0,66
Redemption from paying communal contribution tax Yes, 50-100 % first 5 years + Kig x 100% next 5 years
Water fee
Water regulation fee (EUR/m²) 0.03 – 1.68 per year

Physical plans

County urban plan Yes
Municipal/City urban plan Yes
Urban development plan Created
Detailed urban plan No obligation

Ministry of Economy assumes no legal responsibility for the accuracy or comprehensiveness of the data supplied in this database. Ministry of Economy accepts no liability for any direct, indirect, consequential or incidental damages or losses arising from use of the data collection.